拟建别墅、小高层!湖光里二期规划公布
搜狐焦点佛山站 2025-04-21 18:59:19
用手机看
扫描到手机,新闻随时看
扫一扫,用手机看文章
更加方便分享给朋友
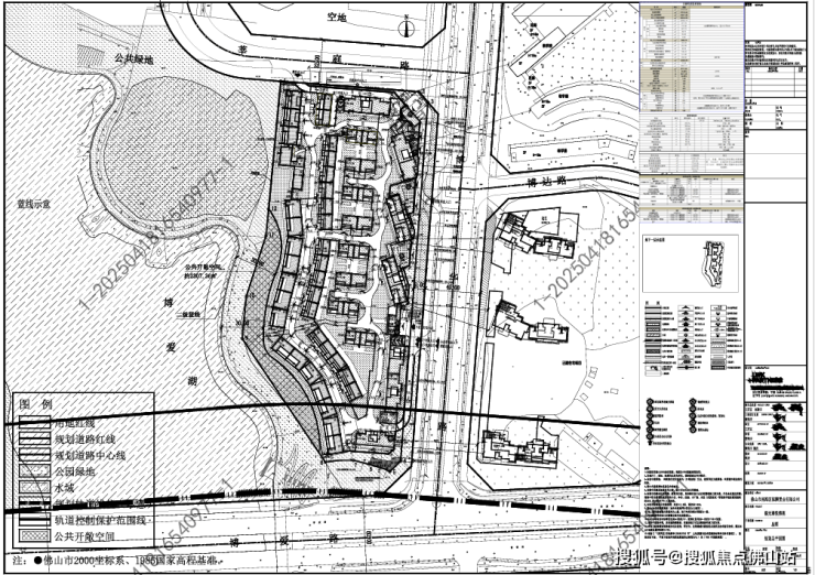
4月18日,佛山市自然资源局南海分局发布了《湖光瑧悦雅院总图、9栋、17栋、21栋及一区地下室建设工程规划许可批前公示图》。项目规划总用地面积约27954.45㎡,地上计容建筑面积约33542.93㎡,地块容…
4月18日,佛山市自然资源局南海分局发布了《湖光瑧悦雅院总图、9栋、17栋、21栋及一区地下室建设工程规划许可批前公示图》。

项目规划总用地面积约27954.45㎡,地上计容建筑面积约33542.93㎡,地块容积率≤1.2,且阳台率达30%,拟打造低密新规产品。
规划图显示,该项目规划涵盖小高层、别墅,合计148户,套型计容面积>144㎡的约有104户、90㎡<套型计容面积≤144㎡约有44户。

整个项目共有7栋楼高6-8层的住宅楼,中间拟建8栋楼,每栋前后相隔10米,临湖一侧规划有6栋楼高3层的别墅,部分楼栋包含多套单位。
今年2月,保利华南以29520万夺得该项目地块,成交楼面价约8800元/㎡,该项目属于保利湖光里二期,紧邻博爱湖公园。
声明:本文由入驻焦点开放平台的作者撰写,除焦点官方账号外,观点仅代表作者本人,不代表焦点立场。


